您的位置首页百科问答

今年飓风命名即将用尽,意味着什么?

今年飓风命名即将用尽,意味着什么?

的有关信息介绍如下:

飓风名是每隔六年是一个循环,按照海域的不同六年内有21个名字可以用,到第七年是便循环再来一遍。名字用完后的飓风只能用总共24个的希腊字母来表示。飓风的21个名字的用完并不只是代表着六年一个周期的飓风数量,还很大程度上发反应了地球上的极端天气气候正在增多,全球的气候变暖

今年飓风命名即将用尽,意味着什么?

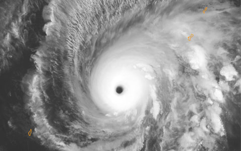
飓风根据持续风速的不同分为五个等级,我国的海岸线冗长,每年飓风都会给沿海地区带来不同的损失。。造成海面低气压区的温暖海水是飓风形成的主要原因,海平面的温度升高使得热空气上升与上方的冷空气形成气流循环,加上地球的自传便形成了涡旋,飓风的这种涡旋产生在热带海选表面,所以被称为热带气旋。我国一般将生成于西北太平洋和我国南海的强烈热带气旋称为“台风”,生成与大西洋、加勒比海和北太平洋东部的称为“飓风”。

今年飓风命名即将用尽,意味着什么?

给飓风取名字是人们为了方便交流和传递信息。在我国的飓风列表里有男性名字和女性名字21个,近几年的飓风变得活跃,六年一个循环的飓风21个名字即将用尽这预示着近几年的极端天气在增多,全球气候在变暖。飓风每一次的到来都会造成很多的损失,极端天气的增多,这些无疑也在鞭策的人类要保护地球环境,控制二氧化碳的排放。

今年飓风命名即将用尽,意味着什么?

飓风数量的增加也只是全球气候变暖造成的后果的一个缩影,冰川,冻土融化、海平面上升等都给地球上的生态系统带来许多危害。保护环境以势在必行。地球的气候变化涉及人类生存的各个方面,低碳出行,爱护环境,植树造林等都能保护我们赖以生存的地球。